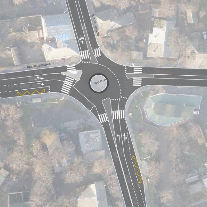
Минулої п’ятниці 5 березня комунальне підприємство «Агенція просторового розвитку» оприлюднило план реорганізації руху на перехресті Князів Коріатовичів - Староміський міст. Замість світлофорів там буде діяти саморегульована кільцева розв’язка. І за попередніми розрахунками, така організація руху збільшить пропускну здатність перехрестя на 30%.
Натомість в соцмережах такий план змін розкритикували. Кажуть, що на Коріатовичів не вистачить місця для кола, така реорганізація руху створюватиме лише затори та аварійні ситуації. У коментарях люди пишуть, що потрібне розширення дороги, а не кільцеві розв’язки.
Ми поговорили з директором «Агенції просторового розвитку» Максимом Кравчуком про причини зміни світлофорів на саморегульовану кільцеву розв’язку та чому не пішли шляхом розширення вулиці.
— Чому вирішили реорганізувати рух на перехресті Коріатовичів-Староміський міст?
— Це одне з найбільш критичних перехресть у Вінниці по транспортному навантаженню. Тут спостерігаються значні затримки у години-пік, накопичуються автомобілі і по вулиці Коріатовичів, і на Староміському мосту. Ми хочемо дізнатись, які є можливості для збільшення пропускної здатності.
— З'являється кільцева розв'язка і вимикають світлофори. Правильно?
— Так, в тестовому режимі це передбачено.

— Що буде зроблено під час тестування кільцевої розв'язки? Які її елементи зроблять одразу?
— Буде нова розмітка. Напрямні острівці та коло по центру будуть з дорожніх пластикових блоків. Ще встановлять дорожні знаки «Рух по колу». На наступному етапі, якщо все це покаже ефективність, дорожні блоки замінимо стовпчиками. Тестовий режим буде розпочато з 13 березня. Якщо погода сприятиме виконанню робіт з нанесення розмітки, то нова організація руху запрацює вже з цієї неділі.
— За розробку кільцевої розв’язки відповідає компанія «Урбан Прогрес» з Івано-Франківська. Вінничани нарікають, що відео моделювання кругової розв'язки не відповідає дійсності. Що там, насправді, набагато більше транспорту в реальності.
— Ми на місцевості порахували кількість машин, що там проїжджають в годину-пік. Цифри перенесли у комп'ютерну модель, і на ній прибрали світлофорне регулювання. А оскільки немає фази «червоного світла», то не відбувається значного накопичення транспорту на потоках. За розрахунками «Урбан Прогрес» при кільцевій розв'язці буде накопичуватися до десяти машин в одній смузі. До того ж відео пришвидшено у чотири рази.
— З їхнього звіту дізнались, що спеціалісти розглядали два варіанти кільцевої розв'язки. У чому їхня відмінність?
— У другому варіанті фахівці пропонують реорганізувати зупинки громадського транспорту, щоб поставити їх згідно ДСТУ — за перехрестям.

Правий поворот з Коріатовичів на міст отримує виділену смугу. Запроектоване перенесення бордюрів, щоб виграти місце для повноцінної правопоротної смуги з мосту на вулицю Коріатовичів. Загалом, вдається отримати на 40% збільшення пропускної здатності.

Перша схема трохи простіша, пропускна здатність перехрестя зростає на 30%. Спочатку візьмемо за основу варіант 1, відтворимо модель в натурі. І якщо ми побачимо, що кільцева розв'язка буде ефективною і вона працює краще, ніж світлофорне регулювання, то тоді можна буде розглядати далі цей проект, впроваджувати другий варіант реорганізації руху на перехресті.

— В нас по центру перехрестя буде коло радіусом чотири метри. Чи зможуть вписатися у поворот на такій розв'язці вантажівка або муніципальний автобус?
— Якщо входити в поворот, то там буде понад дев'ять метрів. Але ми розуміємо, що в деяких випадках цього буде замало для проїзду великому транспорту. Тому на постійній основі тут є сенс використовувати таку конструкцію кола, на яке можна буде заїхати. Поки триватиме тестування кільцевої розв'язки коло складатиметься з дорожніх блоків, а його межі окреслені розміткою. Тобто, залишається вільне місце на межах кола, куди в разі чого можна буде заїхати.
— Чому не пішли шляхом розширення дороги? Як наприклад, кілька років тому збільшили проїжджу частину на перехресті Київська - Чорновола - Стрілецька.
— На Коріатовичів немає достатнього ресурсу, щоб розширювати проїжджу частину. Якщо і вдасться знайти якусь ділянку на перехресті, то далі ми знову впираємося в те, що сама вулиця доволі вузька. Якщо ж викуповувати під ці потреби ділянки з приватної власності, то це дорого, довго і досить складно організаційно.
У вінницькій дільниці з організації дорожнього руху журналісту пояснили, що на перехресті Коріатовичів-Староміський міст встановлять знак 4.10 «Рух по колу».

— Якщо на перехресті встановлений знак 4.10, то ми використовуємо декілька пунктів правил дорожнього руху. А саме пункти 9.4,10.4, 10.5, 10.11. Машини, які рухаються по колу, мають перевагу. Водії, які виїжджають на коло, повинні дати їм дорогу. Ті, хто виїхав на коло, мають право першочергового виїзду з нього, — розповідає Зєрщиков.

Олександр наголошує, що рухаючись по колу не потрібно вмикати сигнали повороту.
— Є тільки два винятки, коли потрібно вмикати повороти: це зміна смуги руху на колі та виїзд з кола, коли ми маємо включати правий покажчик повороту, — зазначив чоловік.
На проспекті Юності, нагадаємо, з 11 березня обмежать рух для пішоходів
Як ставитесь до появи кільцевої розв'язки перед Староміським мостом?
Читайте також:
Чому на Гагаріна прибрали делініатори і чи повернуть їх навесні
Скільки коштує навчитися водінню у Вінниці? Ми перевірили
Водіям на замітку. Нові штрафи, права і обов’язки, які ухвалили у Верховній Раді
Слідкуйте за новинами Вінниці у Telegram.
Героям Слава!
№ 9 від 4 березня 2026
Читати номер
А ещё лучше мост нужен от Пед.училища и на Скалецкого. Либо со Старого Города на Сабаров.