Замість світлофорів перед Староміським мостом буде коло. Як вам така ідея?
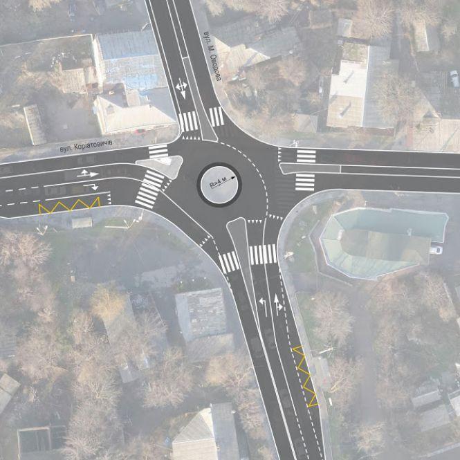
- На перехресті Коріатовичів-Оводова збираються поставити саморегульовану кругову розв’язку
- За оцінками фахівців, таке рішення на 30% збільшить пропускну здатність цієї ділянки дороги.
- Як ви ставитесь до такої ідеї? Пишіть у коментарях
Комунальне підприємство «Агенція просторового розвитку» оприлюднило план реорганізації перехрестя вулиць Оводова та Князів Коріатовичів. Перед Староміським мостом збираються зробити кругову розв’язку.
«Вулиця Князів Коріатовичів та Староміський міст є одними з найбільш перевантажених ділянок вуличної мережі міста: в години пік тут систематично спостерігаються затори, — йдеться в дописі «Агенції» на фейсбуку. — Компанія Урбан Прогрес провела моделювання реорганізації цього перехрестя з влаштуванням саморегульованої кругової розв’язки».
На відео можна побачити пришвидшену у 4 рази симуляцію роботи перехрестя з круговою розв’язкою під час години пік.
Круг на Коріатовичів, за попередніми оцінками, є найбільш оптимальним рішенням.
«Результати моделювання показують, що дане рішення дає змогу збільшити пропускну здатність перехрестя на 30% у порівнянні з існуючим світлофорним регулюванням», — пишуть фахівці. — Існуюча геометрія проїзної частини дозволяє розмістити круговий острівець без капітальних втручань».

За попередніми планами, коло облаштують до кінця березня. Воно буде реалізовано в тестовому режимі.
«Якщо тестова експлуатація на практиці доведе ефективність кругового руху це рішення буде прийняте на постійній основі», — йдеться у повідомленні.

А ось за цим посиланням можна переглянути повністю звіт про результати дослідження кола на Коріатовичів-Староміський міст.
Читайте також:
Водіям на замітку. Нові штрафи, права і обов’язки, які ухвалили у Верховній Раді
Чому на Гагаріна прибрали делініатори і чи повернуть їх навесні
Як у Вінниці домогтися установки світлофора. Алгоритм дій та поради
Слідкуйте за новинами Вінниці у Telegram.
-
Dmytro ChaikaНорм буде -
ГістьЯк варіант, таки не пожаліти мільйона доларів і відселити якийсь з об'єктів нерухомості біля перехрестя. Клумбу зробити великого радіусу, так дієвіше. Проти вартості нового мосту це небагато! -
Vik Vetшо это за ерунда(У вас залишилась 1 безкоштовна стаття. Спробуй 2 місяці за 1 грн.) отсюда денги не пересылаютя и 1 грыва это примерно 4 цента вы чо пиз...сь -
Svetlana GorenkoДля того, щоб розвантажити цей напрямок в годину пік потрібен ще один міст, а не коло....🙄