У Вінниці планують реконструкцію перехрестя вулиць Київська-Чорновола-Стрілецька. Це одна з найважливіших ділянок в транспортній мережі міста, яка нині збирає довгі тягнучки в години-пік, тому є потреба в збільшенні пропускної здатності.
У ході досліджень обрали один варіант — оптимізація світлофорного регулювання. Замовником робіт стало комунальне підприємство «Агенція просторового розвитку». У директора цього КП Максима Кравчука з'ясували подробиці майбутньої реконструкції.
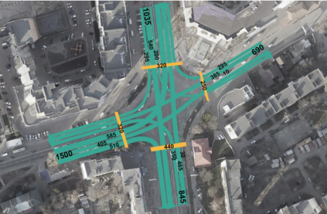
Передпроектну пропозицію розробили фахівці івано-франківської компанії «Оресунд». У звіті вони пишуть, що перехрестя, з тією організацією руху, що є зараз, не може впоратись з трафіком.

«Найбільше навантаження спостерігається ввечері з 18 до 19 години, складає 4070 одиниць транспорту на годину. Найбільші затримки руху — на виїзді з вулиці Чорновола, де довжина черги з авто сягає понад 400 метрів, а навантаження на цьому напрямку дорівнює 1500 одиниць транспорту на годину», — йдеться в тексті.
Підрядник зазначає, що в нинішньої схеми організації руху є кілька конфліктних точок, де перетинаються пішохідні та транспортні потоки.

Однак з візуалізації, яку розмістили в звіті, складається враження, що площу проїзної частини на перехресті зменшать. Як це може збільшити пропускну здатність, якщо квадратних метрів дороги, фактично, буде менше?
— Йдеться не про зменшення в цілому площі перехрестя, а зменшення площі перехрестя між стоп-лініями. Тобто, пішохідні переходи, стоп-лінії, світлофори будуть перенесені ближче до центру перехрестя, — пояснює директор КП «Агенція просторого розвитку» Максим Кравчук. — І таким чином, вдасться скоротити відстань, яку проїжджатиме водій від початку і до завершення маневру. А за рахунок вивільненого простору ми зможемо додати кількість смуг на під'їздах до перехрестя з вулиць Чорновола та Київській.
Окрім перенесення смуг і переходів, в рамках цього проекту заплановано встановити напрямні острівці, утворити каналізовані напрямки з вулиці Київської на Чорновола, а також зі Стрілецької на Київську. Обмежені з одного боку тротуаром, а з іншого — напрямним острівцем, ці смуги не будуть перетинатись з рештою напрямків.

— Ще додаємо велопереїзди, нове озеленення і змінюється конфігурація світлофорного об’єкту, — розповідає директор КП «Агенція просторового розвитку» Максим Кравчук. — Підрядник рекомендує встановити окремі світлофори на кожній зі смуг руху, щоб було більше можливостей для додаткового керування цим перехрестям. Перелік змін неостаточний, буде уточнюватися під час розробки проектно-кошторисної документації.
Питаємо, як роз'їдуться автомобілі, якщо станеться ДТП? Особливо, якщо аварія відбудеться в каналізованих напрямках, які, нагадаємо, з одного боку обмежені бордюром тротуара, а з іншого — напрямним острівцем.
— Каналізовані напрямки будуть досить широкими. Там планується створити смугу, шириною більше чотирьох метрів. Навіть якщо трапиться аварія, то транспорт зможе роз'їхатись, — відповідає Максим Кравчук. — З іншого боку — все залежить від самої аварії. Навіть при існуючій геометрії перехрестя може трапитися ДТП, яка суттєво ускладнить чи заблокує проїзд. В будь-якому випадку, екстрені служби зможуть об'їхати місце ДТП не по своїй смузі руху.
Комп'ютерне моделювання показало, що за нової геометрії перехрестя, пропускна здатність зростає на 10-29%, залежно від напрямку. Наприклад, найбільш завантажений напрямок — в’їзд на перехрестя з вулиці Чорновола — зможе прийняти на 300 машин більше, ніж зараз.

Чи будуть тестувати нову організацію перехрестя на Київській, так само як коло на Коріатовичів?
— Тут не планується проведення тестового режиму, оскільки його неможливо реалізувати. Потрібно перенести пішохідні переходи, світлофори, контактну мережу тролейбуса. Це все капітальні робити, а одних дорожніх блоків, які виконуватимуть функцію напрямних острівців, буде недостатньо для тестування, — відповідає директор КП «Агенція просторового розвитку» Максим Кравчук.
За його словами, найближчим часом розпочнеться розробка проектно-кошторисної документації, на основі якої буде визначена вартість робіт, та чи можливо це буде реалізувати в цьому році.
Крім оптимізації регулювання перехрестя івано-франківська компанія «Оресунд» розглядала ще два варіанти змін: круговий рух та вдосконалений варіант кола — «турбокарусель» (коло, де для кожного напрямку виділена своя смуга і заборонено її міняти на кільцевій розв’язці - авт.). За такої схеми рух транспорту стає саморегульованим, прибирають світлофори для пішоходів.

Але обидві схеми кільцевих розв’язок не пройшли перевірку на комп’ютерному моделюванні — коло на цьому перехресті суттєво зменшить пропускну здатність.
Фахівці зробили ще декілька висновків:
З 13 березня перед Староміським мостом влаштували нову організацію руху. Дорожники нанесли тимчасову розмітку і влаштували коло з пластикових блоків. Майже місяць триває тестування такого режиму проїзду. Коли він завершиться і що буде в підсумку?
— Щодо кругового руху на Коріатовичів маємо як позитивні відгуки, так і негативні аспекти. Тому потрібно буде ретельно зважити всі «за» і «проти». Планується що тестування триватиме ще кілька місяців. Як саме завершиться тестування буде визначено за цей час. Ми зараз з підрядником, департаментом енергетики, транспорту та зв'язку і «Вінницькою спецдільницею з організації дорожнього руху» будемо це опрацьовувати. Часткові підсумки незабаром опублікуємо, — відповів директор КП «Агенція просторового розвитку» Максим Кравчук.
Біля довгобуду на Стрілецькій, нагадаємо, закінчили встановлення копії Ейфелевої вежі.
Як ви сприймаєте ідею реорганізації руху на перехресті біля Пивзаводу?
Читайте також:
ДТП зі «швидкою» на Соборній. Оприлюднили відео, де видно момент зіткнення
Чому на перехресті Келецької і Лялі Ратушної не буде світлофорів на всіх напрямках
Розпочався суд над водієм, який п'яним збив на смерть двох хлопчиків
Слідкуйте за новинами Вінниці у Telegram.
Героям Слава!
№ 9 від 4 березня 2026
Читати номер